Video: RD mantiene alertas por huracán María; ya está en Puerto Rico

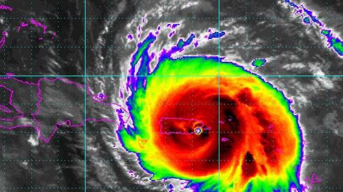
Ojo del huracán María sobre el sureste de Puerto Rico.Imagen 5:45am
La Oficina Nacional de Meteorología (ONAMET), mantiene el aviso por condiciones de huracán desde Cabo Engaño (La Altagracia) hasta Puerto Plata, además se incrementa por condiciones de tormenta tropical desde Puerto Plata hasta Bahía de Manzanillo (Monte Cristi).
Por otro lado, mantiene el aviso de condiciones de tormenta tropical desde Cabo Engaño hasta Punta Palenque por la costa Sur . Esto significa que al menos uno o dos de los efectos peligrosos asociados a un ciclón tropical, pueden afectar las zonas bajo alerta en 48 horas o menos, como son, lluvias intensas, vientos fuertes y oleajes o marejadas anormales.
El huracán María tiene vientos máximos sostenidos de 250 kilómetros por horas, mantiene categoría 4 en la escala Saffir/Simpson. Se localiza a unos 65 km al sur de San Juan Puerto Rico, y a unos 245 km al este/sureste de Cabo Engaño (La Altagracia). Se mueve hacia el nor/noreste a unos 17 km/h. Se pronostica que continúe con este desplazamiento en las próximas 48 horas.
En el ámbito local las condiciones ambientales para este miércoles se presentaran dominadas por la llegada de bandas nubosas asociadas al huracán María las cuales estarán incidiendo desde tempranas horas del día y provocando aguaceros dispersos, tormentas eléctricas y ráfagas de viento, con mayor incidencia en la parte este y noreste del país.
Se pronostica que estas precipitaciones se incrementen notablemente el día jueves a medida que el huracán María interactué con la República Dominicana y se mueva sobre sus aguas territoriales.
Para el viernes María se moverá alejándose, sin embargó seguirán las ocurrencias de precipitaciones importantes así como la incidencia de sus vientos los cuales contribuirán al deterioro de nuestras costas presentando penetraciones en lugares vulnerables.
Se mantiene un alerta meteorológico por inundaciones repentinas para las provincias: Santiago Rodríguez (en especial Monción), Dajabón, La Vega (especialmente Jarabacoa y Constanza), Valverde, Montecristi, Puerto Plata y Monseñor Nouel.
Las condiciones marítimas de las costas dominicanas, se mantiene bajo la recomendación de que todas las embarcaciones deben permanecer en puerto, debido al deterioro en el oleaje y los vientos que estará generando el huracán María.
.