Por efectos de huracán Ernesto, hay 17 provincias en alerta

Alerta Ernesto
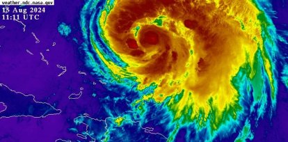
El Centro de Operaciones de Emergencias (COE) aumentó 06 provincias en alerta amarilla y 11 en verde, debido a que los efectos del ciclón tropical Ernesto, continúan ingresando nubosidad sobre la República Dominicana , generando aguaceros de moderados a fuertes, tormentas eléctricas y ráfagas.
Las provincias en alerta amarilla son: La Altagracia, Hato Mayor, La Romana, Samaná, El Seibo y Azua. Mientras que en verde están: Espaillat, Distrito Nacional, Monte Plata, Duarte, San Cristóbal, San José de Ocoa, San Pedro de Macorís, Santo Domingo, María Trinidad Sánchez, Hermanas Mirabal y Peravia.
En ese sentido, se recomienda a las personas abstenerse de cruzar, ríos, arroyos y cañadas que presenten altos volúmenes de agua en las provincias bajo alerta.
De igual forma, el COE exhorta a los operadores de las frágiles, pequeñas y medianas embarcaciones en la costa atlántica permanecer en puerto desde Cabo Engaño (la Altagracia) hasta Bahía Manzanillo (Monte Cristi), debido a incrementos del viento y oleaje peligroso.
Puede leer: ¡Cabizbajo y vestido de negro! Así llega Wander Franco a audiencia preliminar de su caso

Por efectos de huracán Ernesto, hay 17 provincias en alerta